Santa Clarita Valley History In Pictures
> SAND CANYON/CANYON COUNTRY   > PEOPLE
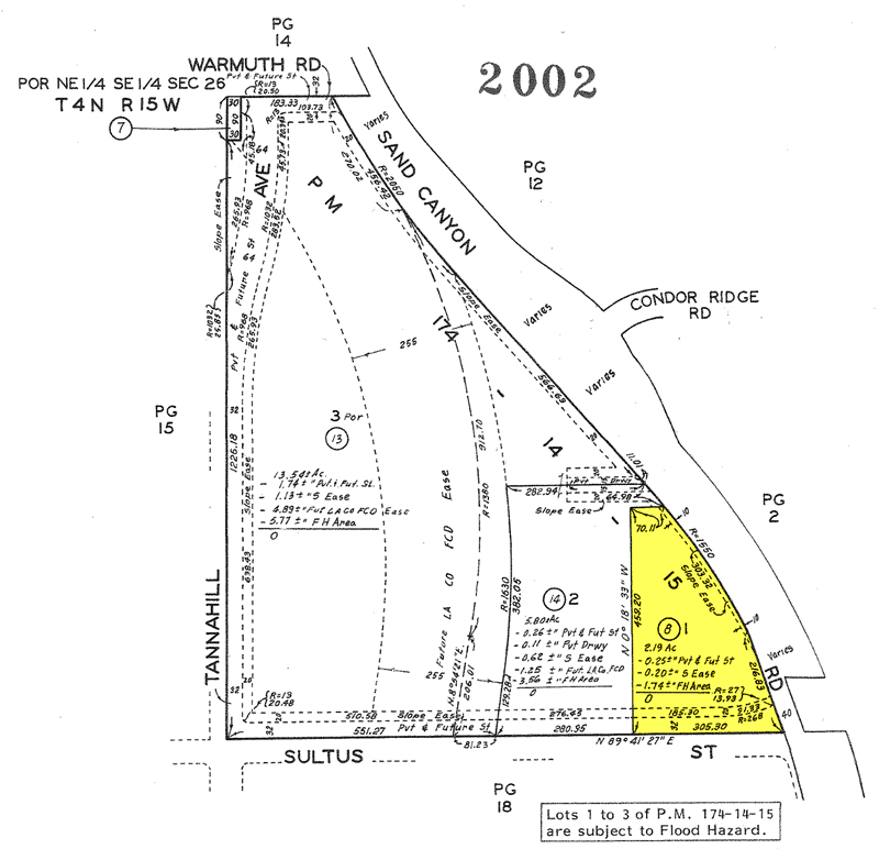
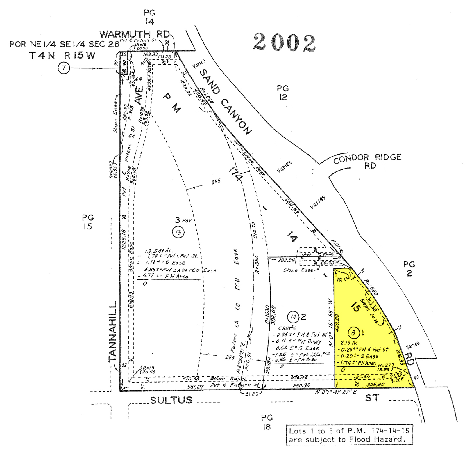
Parcel Map: Ace Cain's & VFW Post 6885
Sand Canyon | Canyon Country


Click image to enlarge

Parcel map (Los Angeles County Assessor, 2002) showing, in yellow, the location of Ace Cain's 1950s-1960s Rocky Springs Country Club, which later became VFW Post 6885 — until 1993, when the VFW relocated and the original 1953 structure was converted into private home.


ACE CAIN was one of the more colorful and controversial characters of midcentury Santa Clarita (which wasn't usually called Santa Clarita then). He'd already been a soldier, bootlegger, movie actor and Hollywood nightclub owner by the time he came to Sand Canyon in the 1950s and opened the Rocky Springs Country Club, an adult resort with a bar, pool hall, "friendly" women, private cabanas, and a members-only swimming pool.

Born in Chickasaw Nation, Okla., on Aug. 23, 1903, Horace Truman Cain grew up on a farm in Wichita Falls, Texas. "Ace" and his brother Jim enlisted in the Army to see the world, and while touring the Pacific Rim nations throughout the 1920s, they became proficient gamblers. Returning to the states just in time for Prohibition, Ace parlayed his winnings into a successful bootlegging business in Hollywood.

In a published 2002 interview[1], Ace's son Everett said when the police "needed to make a raid," his dad would "have his boys leave an old car with a few cases of cheap booze in it, so the cops could report that they had raided Ace Cain's."

The 1930s brought Ace a wife, Beatress "Skeeter" Willys, as well as a second profession. Standing 6-foot-5 and weighing 240 pounds, Ace made the ideal on-screen "heavy" for the poverty row movie producers who were buying his hooch.

But the passage of the 21st amendment in December 1933 killed his bottle trade, and by 1937 his fleeting film career was over. Producer Ray Kirkwood, who cast him in several Westerns, quit the business in 1936; Cain made his last screen appearance in an early Sam Katzman feature the next year.

Cain stuck with what he knew. He opened a new — and legal — watering hole, Ace Cain's Café, within spitting distance of 20th Century Fox studios. "It was complete with live floor shows featuring scantily clad chorus girls, singing waiters, jugglers, acrobats, animal acts and the works," Everett Cain remembered. Ace's brother Jim owned a liquor store next door.

By the mid-1940s, Ace moved his operation to 1369 N. Western Ave. (corner DeLongpre) in Hollywood, where his club was named simply "Ace Cain's." It was rebranded "The New Ace Cain's" when it went topless in about 1946.

Ace's son remembered that business slowed after World War II, so Ace sold his Western Avenue property to the federal government for a post office. He then opened a liquor store and hotel in Santa Monica, but they were short-lived.

He would make one more move.

Cain bought 24 acres of land in late 1952 or early 1953 at the northwest corner of Sand Canyon Road and Sultus Street (27009 Sand Canyon Road), along a tributary of the Santa Clara River, and told folks he planned to create a resort for trout fishing.[2] While still living in Hollywood in 1953, he built what was technically a 2,976-square-foot, 3-bedroom home[3], but which in reality was a two-story clubhouse with a bar on the ground floor and rooms above.[4]

article
Click to enlarge.

His liquor license was initially delayed in the summer of 1953 when the neighbors complained.[5] By 1954, he was advertising "Ace Cain's Trout Fishing" in Sand Canyon.[6] The name was considered a ruse[7], but he did stock trout ponds.[8]

Cain filed incorporation papers for Rocky Springs Country Club on February 18, 1955,[9] and pulled a permit four months later to build a swimming pool.[10] When the pool was ready, he offered $10 annual memberships that entitled families to use the "heated swimming pool, picnic and play grounds."[11] Additional perks of membership weren't openly advertised.

Meanwhile, Cain made his home in the community and ingratiated himself with the movers and shakers of Mint Canyon. He served as president of the Mint Canyon Lions Club in 1956-57 and headed the fundraising campaign to erect the Mint Canyon Community Building at 17766 Sierra Highway,[12] which later became the Elks Lodge.

As the 1950s wore into the 1960s, "Ace Cain's Place," as it was known, became the subject of local gossip. His son remembered: "His club achieved a dubious reputation during his remaining years because of the 'very friendly' women — ex-models, ex-show girls, etc. — (who) frequented his establishment."[13]

A devastating flood in January 1969 wreaked havoc on Cain's property. He evidently shuttered his business at this time and became an outspoken advocate of a plan by the U.S. Army Corps of Engineers to turn the Santa Clara River and its tributaries into a concrete-lined flood control channel. Just as vocal was the family of Cain's neighbor Cliffie Stone, who strongly opposed the idea.[14] (It didn't happen.)

Floods, fires, earthquakes: A wildfire rendered the local VFW Post 6885 homeless. In 1971, Cain leased the clubhouse building and a three-acre portion of his picnic grounds to the veterans.[15] That same year, the earthquake of February 9 irreparably damaged the Rocky Springs swimming pool[16], so the VFW filled it in and turned it into a 90x100-foot dance floor.[17]

Ace Cain died May 18, 1973. He didn't quite make it to see his property host Canyon Country's Frontier Days celebration that fall, as it would do for three more years. VFW Post 6885 purchased the property and remained there for two decades until a dispute with the Sand Canyon Homeowners Association over excessive noise, "overnight camping" and the lack of an operating permit compelled the Santa Clarita City Council to order the veterans out.[18] A Superior Court judge upheld the decision. In 1993, the VFW sold the property for $295,000, and the building was converted to a 3-plus-3 residence. The VFW moved onto a 2.25-acre parcel that it purchased for about $200,000 at 16208 Sierra Highway, just up the street from the valley's other foreign-war veterans, VFW Post 6110.

As for Ace Cain, he rests at Eternal Valley Cemetery in Newhall.


1. "Ace Cain" by Everett Truman Cain, The Old Corral (b-westerns.com), October 2002.

2. The Signal, February 19, 1953.

3. Los Angeles County Assessor.

4. The Signal, August 20, 1998.

5. The Signal, September 3, 1953.

6. The Signal, August 19, 1954.

7. The Signal, August 20, 1998.

8. The Signal, December 13, 1978.

9. California Secretary of State.

10. The Signal, June 9, 1955.

11. The Signal, June 30, 1960.

12. The Signal, August 20, 1998.

13. See fn.1.

14. The Signal, December 20, 1972.

15. Ibid.

16. The Signal, September 8, 1991.

17. The Signal, December 13, 1978.

18. The Signal, January 29, 1992. On January 28, 1992, the City Council upheld the decision made by the Planning Commission on September 3, 1991. According to Planning Department officials, the VFW had been operating the location for 20 years without a conditional use permit.


LW2454: 9600 dpi jpeg from digital file (Assessor website).
ACE CAIN
1903-1973

thumbnail

Hollywood 1940s

thumbnail

Ace Cain's 1945

thumbnail

Cocktail Napkin 1940s

thumbnail

Shot Glass 1940s

thumbnail

Sand Canyon Resort Location

thumbnail

Solemint's Early Neighbors

thumbnail

1958 Event

thumbnail

Wooden Nickel 1950s/60s

thumbnail

VFW Post 6885, 1987

RETURN TO TOP ]   RETURN TO MAIN INDEX ]   PHOTO CREDITS ]   BIBLIOGRAPHY ]   BOOKS FOR SALE ]
SCVHistory.com is another service of SCVTV, a 501c3 Nonprofit • Site contents ©SCVTV
The site owner makes no assertions as to ownership of any original copyrights to digitized images. However, these images are intended for Personal or Research use only. Any other kind of use, including but not limited to commercial or scholarly publication in any medium or format, public exhibition, or use online or in a web site, may be subject to additional restrictions including but not limited to the copyrights held by parties other than the site owner. USERS ARE SOLELY RESPONSIBLE for determining the existence of such rights and for obtaining any permissions and/or paying associated fees necessary for the proposed use.